JT: supertaifūnas pareikalavo 10 tūkst. gyvybių vos viename Filipinų mieste Pereiti į pagrindinį turinį

JT: supertaifūnas pareikalavo 10 tūkst. gyvybių vos viename Filipinų mieste

2013-11-12 07:14
BNS inf.

<span>JT: supertaifūnas pareikalavo 10 tūkst. gyvybių vos viename Filipinų mieste</span>
JT: supertaifūnas pareikalavo 10 tūkst. gyvybių vos viename Filipinų mieste / AFP nuotr.

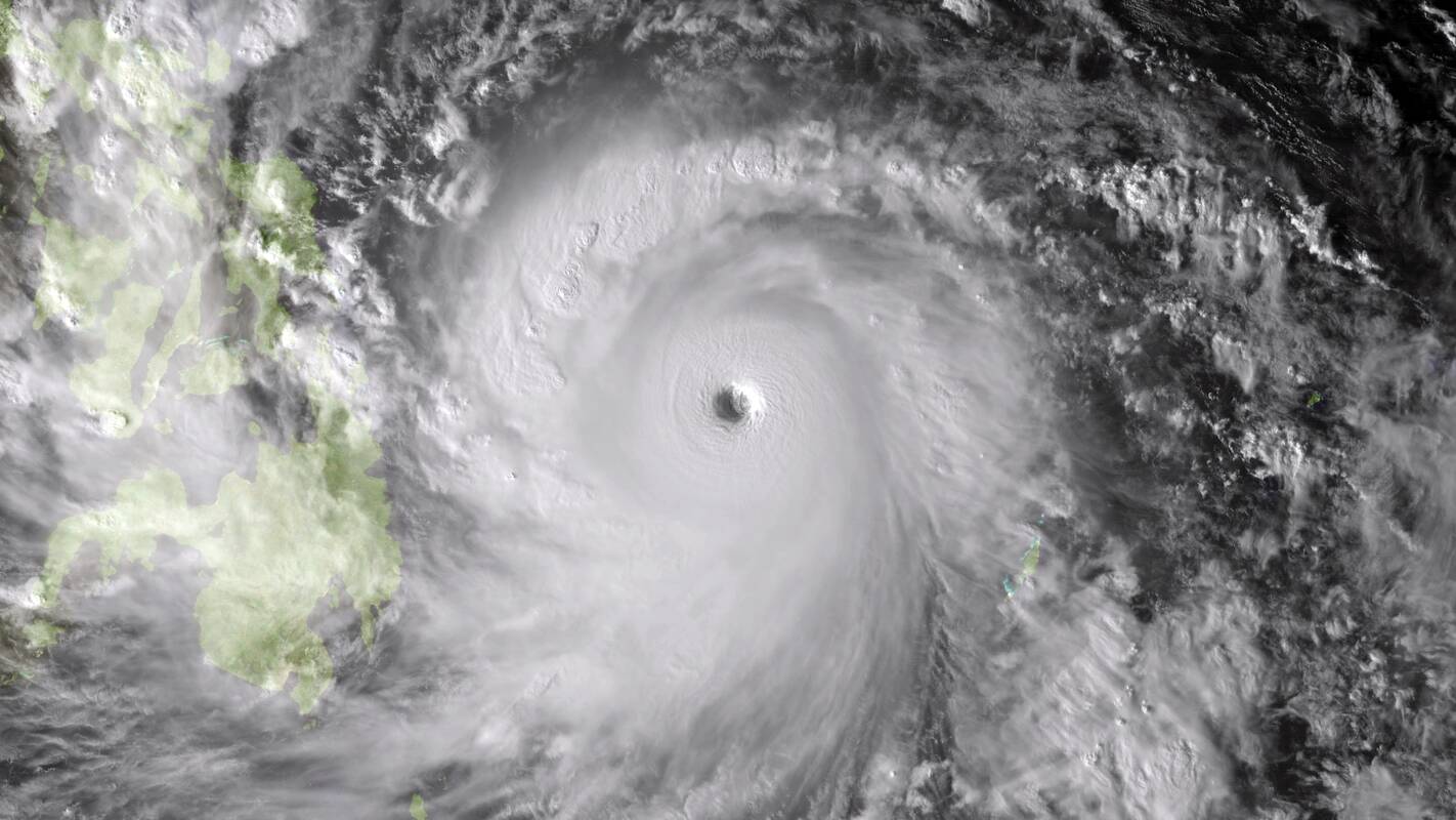
Jungtinės Tautos (JT) pirmadienį perspėjo dėl sparčiai didėjančio supertaifūno aukų Filipinuose skaičiaus ir pranešė, jog vien labiausiai nukentėjusiame Taklobano mieste tikriausiai žuvo 10 tūkst. žmonių.

JT "tikisi blogiausio" galutinio žuvusiųjų skaičiaus, sakė vienas aukšto rango pareigūnas.

Johnas Gingas (Džonas Džindžas), JT humanitarinių operacijų direktorius, nurodė, kad 660 tūkst. žmonių dėl taifūno "Haiyan" paliko savo namus ir kad JT antradienį prašys reikšmingos tarptautinės pagalbos nukentėjusiesiems.

JT humanitarinės pagalbos vadovė Valerie Amos (Valeri Amos), kuri vyksta į Filipinus, savo pareiškime sako, jog "vietos pareigūnai apskaičiavo, kad vos viename mieste žuvo maždaug 10 tūkst. žmonių". Jos atstovė patvirtino, kad omenyje turimas taifūno nusiaubtas Taklobanas.

"Daugelyje vietų pilna lavonų", - sakė J.Gingas spaudos konferencijoje JT būstinėje. Jis patvirtino vertinimus, kad "žuvo daugiau kaip 10 tūkst. žmonių".

Paklaustas apie galutinį skaičių, jis pridūrė: "Tikrai tikimės blogiausio (scenarijaus). Vis didėjant mūsų prieigai, matome vis didesnio per šį taifūną žuvusių žmonių skaičiaus tragediją".

J.Gingas kalbėjo apie sunkias pastangas pasiekti Taklobaną ir kitus smarkiai nuo supertaifūno nukentėjusius rajonus. "Haiyan" sukėlė didžiules bangas, o jo vėjų greitis buvo didžiausias, užregistruotas Filipinuose per pastarąjį šimtą metų.

Pasak J.Gingo, gelbėtojų automobiliams prireikė trijų valandų, kad nuvažiuotų 11 km iš Taklobano oro uosto į patį miestą.

Jis pridūrė, kad išgyvenusiems žmonėms labai reikia švaraus geriamojo vandens ir maisto.

Naujausi komentarai

Komentarai

  • HTML žymės neleidžiamos.

Komentarai

  • HTML žymės neleidžiamos.
Atšaukti
Komentarų nėra

Daugiau naujienų